전통건축과 청계천 담수어류, 해양클러스터 성과 등을 살펴볼 수 있는 전시와 체험전이 다채롭게 펼쳐진다. 한국전통문화대학교는 오는 10월 28일부터 11월 2일까지 덕수궁 선원전 영역 내 구 조선저축은행 중역사택에서 ‘제22회 전통건축전’을 개최한다. 국립중앙과학관은 서울시설공단과 함께 ‘청계어록’ 청계천 담수어류 공동 학술연구성과 특별전을 오는 10월 30일까지 청계천 광교갤러리에서 선보인다. 국립해양박물관은 오는 11월 7일부터 9일까지 박물관 일대에서 제2회 해양클러스터 페스티벌을 개최한다.
덕수궁에서 만나는 미래 인재들의 전통건축 아이디어 ... ‘제22회 전통건축전’

국가유산청 한국전통문화대학교는 오는 10월 28일부터 11월 2일까지 덕수궁 선원전 영역 내 구 조선저축은행 중역사택(서울 중구)에서 전통건축학과 학생들의 연구 논문, 설계 등의 작품들을 선보이는 ‘제22회 전통건축전’을 개최한다.
‘이어가는 이야기’를 주제로 개최되는 이번 전시에서는 전통과 근대를 아우르는 건축유산의 가치와 미래적 활용 가능성이 담긴 졸업작품 16여 점과 함께 창경궁 복원설계 작품들도 만나 볼 수 있다.
전시는 △전통 및 근대 건축유산 연구 △전통건축 복원설계 △근대건축 활용설계 △창경궁 복원설계 등의 작품들로 구성된다. 부재 가공 형태 연구, 사료 분석을 통한 공간 복원 시도 등 다층적 접근을 통해 전통건축을 이해하려는 학생들의 노력을 확인할 수 있다.
이번 전시에 참여한 학생들은 전통·근대 건축유산의 부재, 재료, 명칭, 특징 등 여러 분야에서 다양한 연구를 진행해왔다. 고대에서 조선시대에 이르기까지 건축물이 남아있지 않은 건축유적에 대한 복원 설계를 통해 전통건축의 배치 방식과 공간 구성 원리를 탐구하고, 문헌과 유구 자료에 기반한 설계 해석을 시도했다.
또한, 근대 문화유산의 보존과 활용 방안을 모색하는 등 학생들의 다양한 연구와 아이디어가 담긴 이번 전시 작품들을 통해 전통건축의 가치를 재조명할 수 있길 기대한다.
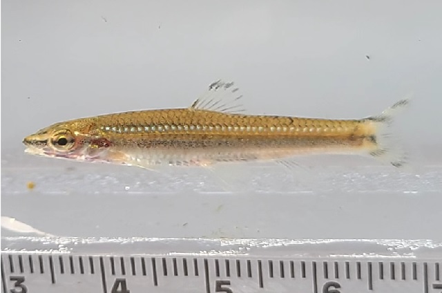
청계천 복원 20년, 쉬리 포함 32종 산다!

국립중앙과학관은 서울시설공단과 함께 ‘청계어록’ 청계천 담수어류 공동 학술연구성과 특별전을 오는 10월 30일까지 청계천 광교갤러리에서 선보인다.
이 전시는 학술조사 결과 및 민물고기 탐사 교육 프로그램을 바탕으로 시민 누구나 쉽게 우리 민물고기를 통해 청계천을 이해하고, 과학적 사고를 상상할 수 있도록 구성됐다.
청계천 복원 20년 여정을 담은 AI 활용 영상, 한국의 민물고기 세밀화, 청계천 민물고기 탐사대 기록 등 다양한 콘텐츠가 어우러져 시민들이 도심 생태 하천의 소중함을 직접 체험할 수 있도록 꾸며졌다.

한편, 국립중앙과학관은 청계천 복원 20주년을 맞아 올해 서울시설공단과 공동으로 실시한 담수어류 학술조사 결과, 총 32종 1품종을 확인해 복원 전 4종에 비해 어류 종수가 8배 증가했다고 밝혔다.
특히 수질이 깨끗하고 산소가 풍부한 여울에서만 서식하는 쉬리 치어를 청계천 상류 구간에서 최초로 발견해 청계천 일부 구간이지만 쉬리가 살 수 있는 서식환경이 안정적으로 유지되고 있음을 확인했다.
이번 조사는 상류인 청계광장 인근 모전교에서 하류인 중랑천 합류부까지 6개 지점을 대상으로 지난 4월부터 9월까지 세 차례 실시됐으며, 20년 간 동일한 조사 지점을 선택해 어류상 변화를 객관적으로 비교할 수 있도록 구성했다.
올해 공동학술 조사를 통해 총 7목 9과 32종 1품종 6천700여 개체를 확인했다. 분류체계에 따라 살펴보면, 잉어목 어류가 23종 1품종으로 가장 많았고, 다음으로 망둑어목이 4종이었다. 우점종은 전체 개체 수의 약 38.1% 비율을 차지한 피라미이며, 아우점종은 참붕어(17.2%), 대륙송사리(12.7%) 등의 순으로 우세하게 출현했다.
한국고유종은 각시붕어, 줄납자루, 쉬리, 몰개, 참갈겨니, 얼룩동사리 등 6종, 외래종은 이스라엘잉어, 구피, 배스 등 2종 1품종이었으며, 이 중 인위적 영향으로 유기된 것으로 추정되는 관상 어종인 구피 7개체와 생태계 교란 야생생물인 배스 1개체가 확인됐다.
조사 구간별로 살펴보면, 상류(모전교-마전교)에서는 쉬리, 버들치, 참갈겨니 등 유속이 빠르고 산소가 풍부한 환경에 적응한 어종이 발견됐고, 중류(황학교-고산자교)에서는 참붕어, 줄몰개, 모래무지 등 유속이 완만하고 돌과 모래 등 다양한 하상 구조에 적응한 종, 하류(중랑천 합류부)에서는 대륙송사리, 납지리, 참붕어 등 유속이 느리고 수질에 대한 내성이 있는 종들이 확인돼 지점별로 뚜렷한 생태적 특성이 나타났다.
제2회 해양 클러스터 페스티벌

국립해양박물관은 오는 11월 7일부터 9일까지 박물관 일대에서 제2회 해양클러스터 페스티벌을 개최한다.
이번 페스티벌은 해양클러스터의 성과를 선보이고, 클러스터 참여기관과 시민과의 소통의 자리를 제공하기 위해 마련된 자리다.
페스티벌은 오는 11월 7일부터 9일까지 국립해양박물관 2층에서 해양클러스터 성과전시회를 운영하며, 11월 8일에는 해양클러스터 오픈데이가 운영된다. 이날 오후 3시부터 4시까지 과학마술콘서트가 현장접수로 진행된다.
또 9일에는 오전 11시부터 명사초청 특강과 부대 이벤트, 12시 30분부터 퓨전국악 로드 공연 등이 박물관 로비에서 펼쳐진다.
참가 접수는 오는 11월 8일까지 300명을 선착순으로 진행하며, 참가비는 무료다. 문의처 051-747-0002.